Jesus (c. 6–4 BC to AD 30 or 33), also known as Jesus Christ and Jesus of Nazareth, was a first-century Jewish teacher and spiritual leader in the Roman province of Judaea. He stands at the heart of Christianity, the largest religion in the world. Christians widely believe him to be the incarnation of God the Son and the long-awaited Messiah the Christ foretold in the Old Testament and descended from the line of David.

HOLY FACE OF JESUS CHRIST
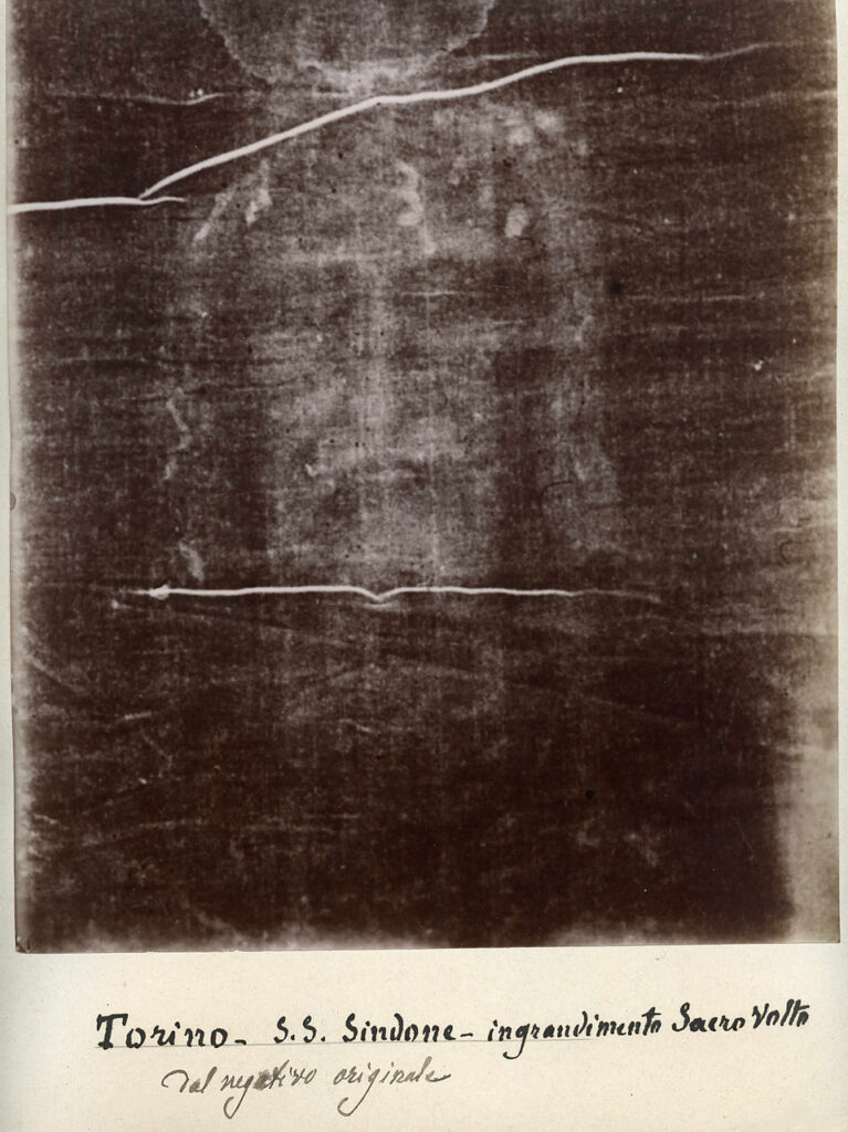
The Holy Face of Jesus is a revered title given to certain sacred images that many Catholics believe to be miraculously produced likenesses of the countenance of Jesus Christ, not fashioned by human artistry but divinely impressed. Among these, the image derived from the Shroud of Turin holds particular significance. This representation has been associated with a devotional medal worn by some Roman Catholics and has become an important expression of Catholic devotion centered on the person and suffering of Christ.
Across the centuries, numerous acheiropoieta—literally meaning “not made by human hands”—have been reported in Christian tradition, each believed to bear a supernatural imprint connected to Christ. These sacred objects have inspired enduring practices of veneration focused on contemplating the face of Jesus as a profound symbol of divine love, sacrifice, and mercy. Formal recognition of devotion to the Holy Face was granted in the late nineteenth and mid-twentieth centuries by Pope Leo XIII and later reaffirmed by Pope Pius XII, further embedding the devotion within the spiritual life of the Church.
Within Roman Catholic spirituality, the Holy Face of Jesus is closely linked to Acts of Reparation offered to Jesus Christ—prayers and sacrifices intended to console the heart of Christ for the indifference, offenses, and injustices committed against Him. Certain religious communities have dedicated themselves especially to this mission, including the Pontifical Congregation of the Benedictine Sisters of the Reparation of the Holy Face, whose charism centers on prayerful reparation. In an address to this congregation, Pope John Paul II described such acts of reparation as a continual and faithful resolve to stand beside the countless crosses upon which the Son of God is perpetually crucified—an evocative reminder that Christ’s redemptive suffering is mystically present wherever human sin and suffering endure.
The vast majority of modern historians affirm that Jesus was a real historical figure. Knowledge of his life and ministry comes primarily from the Gospels, particularly the four canonical accounts in the New Testament. Since the Enlightenment, scholars have examined these texts critically, offering differing perspectives on their historical reliability and the degree to which they portray the historical Jesus.
According to Christian tradition, as recorded in the Gospels and the Acts of the Apostles, Jesus was circumcised on the eighth day after his birth and presented at the Temple in Jerusalem forty days later in accordance with Jewish custom. In early adulthood, he was baptized by John the Baptist, and following a period of forty days and nights of fasting and testing in the wilderness, he commenced his public ministry.
Jesus traveled from place to place as a teacher, and his followers regarded him as one who spoke with divine authority, particularly in his interpretation of Jewish law. He frequently entered into discussions and debates with fellow Jews about faithful obedience to God. His ministry was marked by acts of healing, the use of vivid parables to convey spiritual truths, and the gathering of a devoted circle of disciples, twelve of whom he designated as apostles.
According to the New Testament, Jesus was eventually arrested in Jerusalem, brought before the Sanhedrin for questioning, and then handed over to Roman officials. Under the authority of Pontius Pilate, the Roman prefect of Judaea, he was condemned and crucified. After his death, his followers came to believe that he had risen from the dead. The community that emerged from this conviction grew into the early Christian Church, which gradually spread beyond its Jewish roots to become a global faith.
Christian theology proclaims that Jesus was conceived through the power of the Holy Spirit and born of the Virgin Mary, marking a divine entrance into human history. It affirms that throughout his earthly life he manifested extraordinary authority through miracles, revealed the will of God, and established the foundation of what would become the Christian Church. Central to the faith is the conviction that he willingly endured crucifixion, offering his life as an atoning sacrifice for the sins of humanity. Christians profess that on the third day he rose bodily from the grave, triumphing over death, and later ascended into Heaven. From there, it is believed, he will come again in glory.
At the heart of Christian belief lies the assurance that through Jesus humanity is reconciled to God, restored from estrangement into communion. The Nicene Creed declares that he will return to judge both the living and the dead a climactic event associated with the Second Coming and the final fulfillment of history, occurring in connection with the resurrection of the body. For the vast majority of Christians, Jesus is not merely a prophet or teacher but the incarnate Son of God, the second Person of the Holy Trinity, fully divine and fully human.
The rhythms of the Christian year revolve around the pivotal moments of his life: his birth in Bethlehem is celebrated each year on December 25 as Christmas; his sacrificial death is solemnly remembered on Good Friday; and his resurrection is joyfully proclaimed on Easter Sunday. Indeed, the influence of his life is so enduring that the most widely used calendar era in the world today designated AD 2026, or 2026 CE is traditionally calculated from the approximate time of his birth, underscoring the profound and lasting impact of Jesus on human history.
Within mainstream Judaism, the conviction persists that Jesus was not the long-anticipated Messiah foretold in Hebrew prophecy. Jewish teaching maintains that he did not accomplish the specific redemptive signs and historical transformations traditionally associated with the messianic age, nor was he formally anointed in accordance with sacred law. Consequently, Judaism does not recognize him as divine, as the Son of God, or as one who rose from the dead. Instead, he is viewed within a historical framework that does not accord him the messianic or supernatural status attributed to him in Christian belief.
In Islam, however, Jesus—known as ʿĪsā—is honored as the Messiah and as a mighty prophet sent by God to guide the Children of Israel. Islamic doctrine affirms his miraculous birth to the Virgin Mary, emphasizing it as a sign of divine power, yet firmly rejects the notion that he is God or the literal Son of God. Muslims revere him as one of the greatest messengers in the prophetic tradition, entrusted with revelation and divine authority. While the crucifixion stands at the center of Christian theology, most Muslims hold that Jesus was neither killed nor crucified but was instead raised bodily into Heaven by God, escaping death at the hands of his enemies. Islamic eschatology further teaches that he will return before the Day of Judgment, playing a decisive role in the events that precede the end of time.
Beyond Christianity, Judaism, and Islam, Jesus is also accorded deep respect in other religious traditions. The Baháʼí Faith regards him as a Manifestation of God, a divinely inspired teacher who revealed spiritual truth appropriate to his age. The Druze faith honors him as an important spiritual figure within its own theological framework. In Rastafari, Jesus is venerated as a prophetic and sacred presence, interpreted through a distinctive spiritual and cultural lens. Across these varied traditions, his identity and mission are understood in profoundly different ways, yet his enduring significance remains unmistakable.
Is Jesus Christ God according to the Bible?
Explicit Verses Identifying Jesus as God
- John 1:1: “In the beginning was the Word, and the Word was with God, and the Word was God.” Later, John 1:14 confirms “the Word became flesh,” referring to Jesus.
- John 20:28: After seeing the risen Jesus, the apostle Thomas exclaims to him, “My Lord and my God!” Jesus accepts this title without correction.
- Titus 2:13: Speaks of “the appearing of the glory of our great God and Savior, Jesus Christ“.
- Hebrews 1:8: In this passage, God the Father says to the Son (Jesus), “Your throne, O God, is forever and ever“.
- Romans 9:5: Refers to Christ as the one “who is God over all, blessed forever”.
- 2 Peter 1:1: Mentions “the righteousness of our God and Savior Jesus Christ“.
- 1 John 5:20: States of Jesus Christ, “He is the true God and eternal life”.
Prophetic and Self-Identified Divinity
- Isaiah 9:6: A prophecy about the coming Messiah states his name shall be called “Mighty God, Everlasting Father, Prince of Peace”.
- John 8:58: Jesus says, “Before Abraham was, I am,” using the divine name God gave to Moses in Exodus 3:14.
- John 10:30: Jesus declares, “I and the Father are one,” which his listeners at the time understood as a claim to be God (John 10:33).
Divine Attributes and Actions
The Bible also shows Jesus performing acts that indicate his divinity:
- Forgiving Sins: Jesus forgave sins (Mark 2:5), an authority the religious leaders of his day argued belonged to “God alone”.
- Receiving Worship: Jesus repeatedly accepted worship from his followers (Matthew 14:33, Matthew 28:9).
- Creator of All: Scripture states that “all things were created through him” (Colossians 1:16, John 1:3).
Naming Conventions of Ancient Jews and the Title of Jesus
In ancient Jewish culture, the practice of naming individuals was characterized by simplicity and a lack of complexity. Most ancient Jews primarily bore a singular name that served to identify them within their community. This practice was reflective of a time when societal structures were less intricate, and the use of a single name was sufficient for daily life interactions.
The name traditionally held significant meaning, often reflecting particular traits or familial associations. For instance, names such as David, which means ‘beloved,’ were common and carried cultural resonance. However, the simplicity of having one name eventually led to challenges in distinguishing between individuals, particularly as the population grew and names remained consistent across generations.
As a result, there emerged a necessity for additional identifiers to clarify an individual’s identity. Patrimonial naming conventions became a vital practice, where the father’s name or tribe was added, transforming straightforward names into more descriptive titles. For example, the use of a patronymic, such as “son of” or “daughter of,” conveyed lineage and familial connections, facilitating easier identification among a rapidly expanding society.
Geographical origins also played a role in identifying individuals. Naming practices adjusted to incorporate elements from an individual’s hometown or region, particularly when people migrated or settled in new places. This pragmatic approach to naming ensured clarity and minimized confusion, which was increasingly important in communal interactions.
The evolution of naming practices in ancient Jewish society reflects a blend of simplicity and necessity. The transition from single names to more detailed identifiers marked a response to the realities of communal living in a diverse cultural landscape, underscoring the dynamic nature of human identity and relationships.
Identity Indicators: The Importance of Father’s Name and Place of Origin
In ancient Jewish culture, personal identity was closely associated with a person’s lineage, and two of the most significant indicators were the father’s name and place of origin. These identifiers not only played a role in daily life but were also essential in establishing social status and rights within the community.
The father’s name often served as a patronymic, directly linking an individual to their lineage. For example, in the New Testament, Jesus is frequently referred to as “Jesus of Nazareth” or “Jesus, son of Joseph,” showcasing his paternal connection. Such references were crucial as they provided a framework for understanding not only family relationships but also the individual’s place in the socio-religious hierarchy.
Additionally, the place of origin carried substantial weight in determining one’s identity. In biblical texts, towns and regions often evoke particular cultural and religious significance. For instance, individuals from Bethlehem were recognized as coming from David’s lineage, enhancing their claim to leadership. The notion of identity was reinforced through these geographical markers, as they helped establish social networks and allegiances within the Jewish communities.
The interplay between a father’s name and place of origin highlights the overarching importance of familial and ethnocentric ties in ancient Jewish life. The Mosaic Law, for example, emphasized the notion of inheritance and belonging, making these identity indicators essential. This practice is not simply historical; it provides insights into how modern communities maintain similar identifiers to preserve cultural heritage.
Moreover, the collective memory tied to one’s heritage shaped not just personal identities but also the broader narrative of the Jewish people. As we explore further into the complexities of ancient Jewish naming conventions, we can better appreciate how these identity markers were woven into the very fabric of their cultural and religious life.
The Various Names of Jesus During His Lifetime
During his lifetime, Jesus was known by several names, each carrying its own significance and cultural implications. One of the most recognized names is Jesus son of Joseph, which emphasizes his familial ties and origins. This designation indicates his human lineage, linking him to his earthly father, Joseph, and grounding his identity within the Jewish community of the time. The name reflects the customary practice of naming individuals in relation to their parents, a common Jewish naming convention.
Another prominent title is Jesus of Nazareth. This name not only identifies him geographically but also symbolically connects him to the region where he grew up. Nazareth, a small town in Galilee, was often associated with a humble background, and the title thus carries socioeconomic connotations. The use of this name also fulfills prophetic declarations from the Hebrew Scriptures that indicated that the Messiah would come from a humble town. This title forms an essential part of his identity and relates to the perception of Jesus as an outsider in the more prestigious cities like Jerusalem.
Jesus was referred to as Jesus the Nazarene, a name that highlights his association with the term “Nazarene.” In biblical texts, this title serves to distinguish him from others with the same first name, reiterating his unique role in religious history. Moreover, it mirrors the prophecy found in Matthew 2:23, which states that he would be called a Nazarene, thus linking his identity to both his origins and prophetic significance.
Each of these names—Jesus son of Joseph, Jesus of Nazareth, and Jesus the Nazarene—carries profound theological implications, helping to shape the understanding of Jesus’s mission and identity throughout his earthly ministry. They illustrate the intersection of cultural, familial, and religious elements that were pivotal during the time of his life.
The Transition to ‘Jesus Christ’ After His Death
The nomenclature associated with Jesus of Nazareth underwent a significant transformation following his death, with the most notable change being the adoption of the title ‘Jesus Christ.’ Initially, during his lifetime, Jesus was commonly referred to simply as ‘Jesus’ or ‘Rabbi.’ This reflected his role as a teacher within the Jewish tradition. His full name was Yeshua ben Joseph, which translates in English to Jesus son of Joseph. However, after his crucifixion and the subsequent resurrection, his followers began to ascribe to him a more exalted status, one that would solidify his identity within the early Christian community.
The transition to the title ‘Christ’ derives from the Greek interpretative use of the Hebrew word ‘Messiah,’ meaning ‘anointed one.’ Early Christians believed Jesus fulfilled the messianic prophecies of the Hebrew Bible, and hence, the title served not only to distinguish him from others named Jesus but also to affirm his divine nature and mission. This shift was not merely linguistic but deeply theological, signifying the belief that Jesus was the awaited savior whose teachings and resurrection marked a new covenant.
Meaning and Origin of the Title ‘Christ’
The title ‘Christ’ has profound roots in both Greek and Hebrew cultures, carrying significant meaning in the context of ancient Jewish tradition. Derived from the Greek word ‘christos,‘ this term translates to ‘the anointed one,‘ which is reflective of its Hebrew equivalent, ‘meshiah,’ or messiah. In ancient Jewish thought, the messiah was anticipated as a pivotal figure who would bring salvation and restore Israel, fulfilling divine prophecy.
Historically, the concept of an anointed one had been deeply embedded in Jewish customs, where anointing served as a ritual to designate someone for a special role, often leadership or kingship. Throughout Jewish history, various leaders such as kings and prophets were anointed, symbolizing their divine selection and empowering them to guide their people. The idea of the messiah rising and leading the Jewish nation was particularly significant in times of oppression, as it provided hope and direction.
In the context of the New Testament and early Christianity, the adoption of the title ‘Christ’ signified a deep connection between Jesus and the messianic expectations of the Jewish populace. By calling Jesus ‘the Christ,’ early followers emphasized His role as the one who fulfills these age-old prophecies. This connection to the concept of ‘the anointed one’ fortified Jesus’ standing within the framework of Jewish belief, ultimately bridging the gap between the expectations of a political leader and the spiritual leader that Jesus represented. Furthermore, this title established a foundational element in Christian theology, serving to affirm the belief in Jesus as the awaited messiah of the Jewish people and, consequently, as a savior for humanity.
Messianic Expectations Among Early Jews
The concept of the Messiah carries significant weight in Jewish tradition, embodying a set of deeply rooted expectations that evolved over centuries. Primarily, the term “Messiah” translates to “anointed one,” a reference to individuals who were consecrated for special tasks, often in religious or royal roles. Early Jews believed that the Messiah would emerge to restore Israel, bringing peace and prosperity while reestablishing the kingdom of David. This belief was steeped in prophetic texts found in the Hebrew Scriptures, such as those by Isaiah and Jeremiah, which outlined a vision of a future leader who would redeem the Jewish people.
The anticipation of a Messiah was not merely a theological point; it was woven into the social and political fabric of ancient Jewish life. During periods of foreign domination and hardship, the hope for a Messianic figure intensified, fueling a longing for liberation and national revival. As various sects emerged within Judaism, their interpretations of the Messiah’s role also diversified. For some, the Messiah would be a military leader who would overthrow oppressors, while others envisioned a more spiritual deliverance, focusing on moral and ethical transformation.
Jesus of Nazareth emerged as a significant figure whose followers came to regard him as the promised Messiah. The apostolic teachings posited that Jesus fulfilled Old Testament prophecies, ushering in the Kingdom of God and offering a new interpretation of the Messianic role. His approach was distinct, emphasizing compassion, teaching, and personal redemption rather than militant restoration. This divergence in Messianic expectations not only highlighted the dynamic nature of early Jewish beliefs but also set the foundation for the burgeoning Christian faith, forever altering how the identity of the “anointed one” would be perceived in both Jewish and Christian thought.
The Early Christian Recognition of Christ as a Title
In the context of early Christianity, it became increasingly clear to writers and theologians that the term “Christ” was understood not as a surname but rather as a significant title. This recognition is crucial for understanding the identity and role of Jesus within the Christian tradition. The term “Christ” derives from the Greek word “Christos,” which translates the Hebrew term “Mashiach” or “Messiah.” Both terms denote an anointed one, indicating a divinely chosen leader or savior.
The Acts of the Apostles provides a compelling reference to this understanding. In Acts 2:36, it states, “Therefore let all Israel be assured of this: God has made this Jesus, whom you crucified, both Lord and Messiah.” This passage underscores the early Christians’ awareness that the title of “Messiah”—and by extension, “Christ”—was not merely a label but a profound theological declaration of Jesus’s identity. The acknowledgment of Jesus as the “Christ” asserts his divine authority and fulfillment of Old Testament prophecies.
This recognition extended beyond Acts into other New Testament writings, where the title is used to articulate Christ’s mission and enduring significance in salvation history. For early Christians, calling Jesus “Christ” signified acknowledgment of him as the fulfillment of the Jewish Messianic expectations, thereby establishing his authority and purpose. The repetition of this title in early Christian preaching, as evidenced in various apostolic letters, reinforced an understanding that Jesus’s role as the Christ was central to the faith.
This early Christian consensus laid the groundwork for later theological developments and shaped the identity of Jesus within the broader narrative of Christianity. The clarity regarding “Christ” as a title, and not a surname, played a vital role in how the early church articulated its beliefs and shared its message with the wider world.
The Usage of ‘Jesus Christ’ and ‘Christ Jesus’ in the New Testament
The titles ‘Jesus Christ’ and ‘Christ Jesus’ appear throughout the New Testament, often used interchangeably yet holding subtle distinctions in their implications. The name ‘Jesus’, derived from the Hebrew ‘Yeshua’, represents the earthly identity and ministry of Jesus of Nazareth. Meanwhile, ‘Christ’, from the Greek ‘Christos’, translates the Hebrew ‘Messiah’, signifying the anointed one or the savior. Together, these titles encapsulate central aspects of Christian belief about Jesus’ nature and role.
A compelling illustration of the usage of these titles is found in the letters written by the Apostle Paul. In his epistles, Paul frequently employs ‘Christ Jesus’ when emphasizing the divine and redemptive aspects of Jesus’ identity. For example, in Philippians 1:1, he refers to himself and Timothy as ‘servants of Christ Jesus’. This reflects a theocentric view, directing the reader’s attention toward the overarching significance of Jesus as the Messiah and the divine mission he fulfills.
The title ‘Jesus Christ’ is prevalent in contexts where the emotional or personal aspects of faith are highlighted. In Romans 1:7, Paul addresses his audience as ‘to all in Rome who are loved by God and called to be his holy people: Grace and peace to you from God our Father and from the Lord Jesus Christ’. Here, the emphasis on ‘Jesus Christ’ conveys a relational connection between the faithful and Jesus, underscoring his humanity and the grace extended through him.
These nuanced uses contribute to a broader understanding of early Christian thought as seen in various passages. Moreover, they illustrate how the combination of Jesus’ name with his title serves not only to affirm his messianic identity but also to deepen the relational aspect between him and the believers. This distinction aids in understanding the theological implications behind the text and enriches the interpretation of early Christian writings.
The Significance of Jesus’ Naming and Title
In examining the ancient Jewish naming conventions, we gain profound insights into the culture and identity of the time. Names held substantial significance, often reflecting attributes, lineage, and personal or divine qualities. Jesus, whose name itself translates to “salvation,” is emblematic of this tradition. The titles attributed to him—such as Messiah, Christ, and Son of God—carry deep theological implications that resonate through centuries, shaping the understanding of his role in both religious and historical contexts.
The designation of Jesus as the Messiah is particularly noteworthy. In ancient Jewish thought, the Messiah was anticipated as a deliverer and savior, a role that Jesus embodied through his teachings and actions. This title not only emphasizes his significance within the Jewish faith but also demonstrates how the name ‘Jesus’ fulfills the expectations of a savior, illustrating a direct connection to the hope and prophecies held by the Jewish people.
The contextual analysis of his titles sheds light on the expectations placed upon him by contemporaries and followers. The use of titles like ‘Son of Man’ illustrates a complex identity that encompasses both humanity and divinity. These titles highlight the multifaceted nature of Jesus, offering a deeper understanding of his influence on his followers and the broader community. The nuances behind these names and titles are critical for interpreting his life and teachings, as well as for the development of early Christian theology.
The naming conventions and the significance of Jesús’ titles serve as a reminder of the richness of cultural heritage and the complexities of identity. They provide a lens through which both historical and theological discussions can be explored, reinforcing the importance of names, not only in ancient Jewish culture but also in the ongoing discourse surrounding the figure of Jesus.
In the cultural and social setting of first-century Judea, individuals typically bore a single personal name. To distinguish one person from another, this name was often supplemented either by a patronymic designation—identifying someone as the “son of” his father—or by a reference to the town or village from which the person came. In keeping with this custom, the New Testament most frequently identifies Jesus as “Jesus of Nazareth,” linking him to the Galilean village where he was raised. Those who lived alongside him in Nazareth described him in similarly familiar and practical terms, calling him “the carpenter,” or identifying him through his family connections as “the son of Mary,” and the brother of James, Joses, Judas, and Simon. At times he was also known simply as “the carpenter’s son” or “Joseph’s son.” In the Gospel of John, the disciple Philip introduces him as “Jesus, son of Joseph, from Nazareth,” reflecting the ordinary naming conventions of the time.
The name “Jesus” itself comes into English by way of the Latin Iesus, which in turn derives from the Ancient Greek Ἰησοῦς (Iēsous). This Greek form represents the translation of the Hebrew name Yehoshua (יְהוֹשֻׁעַ), known in English as Joshua. During the period in which Jesus was born, this name was widely used among Jewish people in Judea. By that era, however, the longer form Yehoshua had commonly been shortened in everyday speech to Yeshua (יֵשׁוּעַ), a contraction that had already appeared in later books of the Hebrew Scriptures, such as Nehemiah, where the name Joshua is rendered in its abbreviated form.
The meaning of the name is deeply significant. Rooted in the Hebrew verb yashaʿ (“to save”) and the noun yeshuah (“salvation”), the name conveys the declaration “Yahweh saves” or “God saves.” This meaning is not incidental in Christian theology. The Gospel of Matthew underscores its importance by recounting the angel’s message to Joseph, instructing him to name the child Jesus “because he will save his people from their sins.” Thus, the very name is presented as a summary of his mission and identity.
The shared name between Jesus and Moses’ successor, Joshua, has long attracted theological reflection. In the original Hebrew, Aramaic, and Greek forms, both figures bear the same name. Commentators have often noted the symbolic parallel: just as Joshua led the Israelites into the Promised Land, so in Christian belief Jesus leads humanity into a deeper fulfillment of salvation. The etymology of the name—“to save”—therefore links the two leaders in a meaningful way, with Joshua guiding the people into a physical inheritance, and Jesus, in Christian understanding, delivering both Jews and Gentiles from sin and opening the way to spiritual redemption.
Jesus Christ
From the very beginnings of the 1st century, adherents of the Christian faith have habitually referred to Jesus by the combined designation “Jesus Christ,” a phrase that encapsulates both his personal identity and his perceived spiritual office. It is important to note, however, that “Christ” is not a surname or a conventional given name; rather, it originated as a formal title or honorific, signifying the role of “the Christ,” which translates directly to “the Messiah.” This designation traces its linguistic roots to the Greek term Χριστός (Christos), itself a deliberate translation—or calque—of the Hebrew word מָשִׁיחַ (mashiach), which English renders as “messiah.” In Hebrew, the term carries the literal meaning of “anointed one,” derived from the verb מָשַׁח (mashach), which conveys the ritual act of anointing by rubbing with sacred oil.
Within the context of biblical Judaism, such anointing was a deeply symbolic and religiously significant practice, reserved for individuals or objects set apart for divine service or extraordinary holiness. This tradition was maintained in the Greek translation of Hebrew scriptures, the Septuagint, where מָשִׁיחַ was rendered as χριστός (christos), preserving the essential meaning of “anointed” and linking it to the verb χρίω (chrio), which similarly denotes the ceremonial act of applying oil.
Early followers of Jesus recognized and proclaimed him as “the Christ” because they understood him to fulfill the long-awaited prophecies of the Hebrew Bible concerning the Messiah—one sent by God to deliver, guide, and redeem Israel. Over time, what began as a title emphasizing divine mission gradually came to be treated as an integral part of Jesus’s identity, resulting in the familiar two-word designation, “Jesus Christ.” From this, the term “Christian”—literally, one who adheres to or is a follower of Christ—emerged and has been in continuous use since the 1st century, serving to distinguish those committed to his teachings and messianic claim.
Life and teachings in the New Testament
Canonical gospels
The four canonical gospels—Matthew, Mark, Luke, and John—are foundational texts within the New Testament that provide invaluable insights into the life and teachings of Jesus Christ. These gospels serve not only as spiritual resources for the Christian faith but also as historical documents that shed light on the context and beliefs of the early Christian community. Each gospel presents a unique perspective and a distinct emphasis on different aspects of Jesus’ ministry, making them collectively significant for understanding his life.
The Gospel of Matthew is often characterized by its strong Jewish orientation, highlighting Jesus as the fulfillment of Old Testament prophecies. It is structured to appeal to a Jewish audience, providing a detailed account of Jesus’ teachings through narratives such as the Sermon on the Mount. Conversely, Mark, considered the earliest gospel, presents a more succinct and action-oriented account of Jesus’ life, focusing primarily on his miracles and passion.
Luke’s gospel is known for its comprehensive nature, including extensive narratives about Jesus’ early life and a particular emphasis on his compassion for the marginalized. The writing style is also more literary and polished compared to the other gospels. Lastly, the Gospel of John diverges from the Synoptic structure, featuring a more theological approach that explores the identity of Jesus as the divine Son of God. It includes profound discourses and emphasizes themes of light, love, and truth, making it distinct among the gospels.
The canonical gospels are indispensable for anyone seeking to explore the historical reliability of the accounts of Jesus’ life and teachings, each offering unique insights that contribute to a fuller understanding of his impact in a historical and spiritual context.
Understanding Gospel Harmony
The concept of gospel harmony is the study of the canonical Gospels, aiming to reconcile the variances found in the narratives of Jesus’s life presented in Matthew, Mark, Luke, and John. These four texts, while centering on the same figure and events, offer differing details, perspectives, and emphases that reflect their unique theological and literary contexts. As such, scholars have long sought methods to synthesize these accounts into a coherent narrative. This effort not only enhances our understanding of the life of Jesus but also contributes to broader theological discussions.
Several methods have emerged in the quest for gospel harmony. The “synoptic problem” highlights the relationship between the first three Gospels, which share significant similarities in structure and content. Biblical scholars often utilize a comparative approach, examining the texts side-by-side to identify parallels and discrepancies. A common method employed is the use of gospel harmonies, which take the narrative from these Gospels and attempt to present them in chronological order, allowing readers to see the story unfold as a continuous narrative.
Scholars account for differences in theological intention and audience when establishing a cohesive storyline. For instance, while all four Gospels address the life and teachings of Jesus, the emphasis on specific events or aspects of His ministry varies based on the intended readership. Thus, understanding gospel harmony involves recognizing these unique perspectives while also pursuing a common thread that runs through each Gospel account.
The implications of gospel harmony extend beyond textual analysis, impacting how sermons, teachings, and theological reflections are framed. A harmonized understanding encourages a comprehensive view of Jesus’s life and highlights the importance of each Gospel’s distinctive voice in the broader narrative of Christianity. In conclusion, aligning the four Gospel accounts not only enriches historical understanding but also enhances theological insights into the nature of Jesus as presented in the New Testament.
The Role of Historical Reliability
The historical reliability of the canonical gospels is a fundamental issue that theologians, historians, and scholars engage with when analyzing the life and teachings of Jesus Christ. To measure the reliability of these texts, a variety of criteria are employed, focusing on their context, authorship, and the authenticity of the narratives presented.
Firstly, the historical context of gospel writing plays a crucial role in understanding their reliability. The gospels were composed in a specific timeframe and geographic location, reflecting the sociopolitical and religious dynamics of the era. The first century was a period marked by significant events that influenced the early Christian community. Understanding the milieu in which these texts were written provides insight into their intent and the accuracy of their content, grounding them in a historical framework.
Secondly, authorship is pivotal to ascertain the reliability of the gospels. Traditionally, each gospel is attributed to a specific author, such as Matthew, Mark, Luke, or John. Scholars analyze these attributions, looking for evidence that links the authors to the events or communities they depict. The credibility of the author’s personal experience or proximity to historical events contributes to the overall assessment of the texts. Gospels written closer to the events they describe are often viewed as more historically reliable.
Historians utilize various criteria to evaluate the authenticity of gospel narratives. These criteria include multiple attestation, which assesses whether a particular story is confirmed by multiple independent sources, and the criterion of embarrassment, which considers whether the content is likely to have been invented or altered. By applying these methods, scholars strive to create a comprehensive understanding of the historical reliability of the gospels.
Insights from the 3rd-Century Papyrus of the Gospel of Luke
The 3rd-century papyrus manuscript of the Gospel of Luke, known as P75, represents an important artifact in biblical scholarship, particularly in the context of understanding the textual traditions of the New Testament. Discovered in the late 20th century, this manuscript is remarkably significant not only for its age but also for the textual variants it presents, which open avenues for deeper analysis of the gospel’s historical reliability.
P75 is one of the earliest known copies of Luke’s Gospel, dating back to around 175-225 AD. Its importance lies in its textual quality, as it is considered a member of the Alexandrian text-type, known for its accuracy and fidelity to the original writings. The preservation of this papyrus provides insights into how early Christians viewed and transmitted the teachings of Jesus. Analyzing P75 allows scholars to compare its content and textual variations with later manuscripts, shedding light on the evolution of the Gospel text over centuries.
The extent of preservation of P75 is noteworthy. While not complete, the manuscript has survived in a relatively good condition, allowing for significant portions of the text to remain intact. This survival rate enhances the understanding of the history of the Gospel of Luke, particularly regarding how it might have been read and understood in early Christian communities. The papyrus contains variations in wording and phrasing that contribute evidence to the discussion about the authenticity and reliability of the Gospel accounts.
The implications of such findings extend beyond mere textual criticism. They invite further exploration into the theological interpretations prevalent in the early Church, as well as how the Gospel of Luke may have functioned in liturgical and educational settings. By studying this manuscript, scholars continue to gain a richer understanding of the complexities surrounding the transmission of the New Testament and its roots in early Christianity.
Comparison with Non-Canonical Gospels
The early Christian textual tradition includes not only the recognized canonical gospels but also a variety of non-canonical writings, such as the Gospel of Thomas and the Gospel of Judas. These texts reflect alternative perspectives on the life and teachings of Jesus, presenting unique narratives that diverge from the established accounts found in Matthew, Mark, Luke, and John. The Gospel of Thomas, for instance, is a collection of sayings attributed to Jesus, emphasizing a mystical approach to his teachings rather than the more historical narratives of the canonical gospels.
On the other hand, the Gospel of Judas offers a strikingly different portrayal of Judas Iscariot, framing him not as a traitor but as a disciple acting under Jesus’s instruction. This text presents a complex theological framework that diverges significantly from traditional Christian thought. These differences prompt critical examination of their historical reliability.
Many scholars regard non-canonical gospels as less historically reliable due to various factors. First, the dates of composition often fall later than those of the canonical gospels, which were written in the first century A.D. Non-canonical gospels typically date from the second century or even later. Additionally, they often reflect particular theological agendas or sectarian views that may distort historical facts. For example, the Gospel of Thomas is believed to have close ties with Gnostic beliefs, which raises questions about its alignment with the historical Jesus and early Christian teachings.
These non-canonical texts lack the rigorous historical frameworks and contextual authenticity found in the canonical gospels. The latter have undergone extensive analysis of their sources and historical context, contributing to their acceptance in the canon. Therefore, while non-canonical gospels provide intriguing insights into early Christian thought, their narratives about Jesus are often viewed with skepticism regarding historical accuracy and reliability.
The undisputed Pauline letters, comprising seven epistles attributed to the Apostle Paul, are foundational texts that predate the composition of the Gospels. Written approximately between 50 and 60 CE, these letters offer critical insights into early Christian theology and the teachings of Jesus. Although they do not directly narrate the life of Jesus, they reference His sayings and teachings, thus serving as pivotal sources for understanding His impact on early Christianity.
In these letters, Paul emphasizes key aspects of Jesus’ message, including the concepts of grace, resurrection, and the nature of faith. For instance, in letters such as Romans and 1 Corinthians, Paul articulates the significance of Jesus’ death and resurrection, framing these events as central to salvation. His writings often quote or allude to Jesus’ teachings, illustrating how Paul interpreted and disseminated these principles among early Christian communities. Notably, the famous declaration in Romans 10:9, regarding belief in the resurrection, reflects a direct acknowledgment of Jesus’ teachings and functions as a theological touchstone for believers.
The chronological precedence of the Pauline letters provides a vital context in which the canonical gospels emerged. The familiarity of early Christians with Pauline thought may have influenced Gospel authors in their presentation of Jesus’ message. The themes prevalent in Paul’s letters, such as unity among believers and the role of faith, are echoed in the synoptic gospels, suggesting a reciprocal relationship between these texts. As such, the Pauline letters not only serve as early documents that reference Jesus but also play a crucial role in shaping the theological framework within which later Gospel narratives were formulated.
Key Biblical Events Beyond the Gospels
While the canonical gospels—Matthew, Mark, Luke, and John—offer a foundational narrative of Jesus Christ’s life, key biblical events highlighted in other texts also provide significant insights into His ministry and its lasting impact on the early church. One notable event is the Last Supper, described in detail in 1 Corinthians 11:23-26. Here, the Apostle Paul recounts this pivotal moment, emphasizing its importance as an institution of the Eucharist, or Holy Communion. This passage underscores the sacramental aspects of Jesus’s ministry and indicates the early recognition of the Last Supper’s significance among Christian followers.
Furthermore, the Acts of the Apostles provides a narrative account that complements the gospels. In Acts 1:9-11, the Ascension of Jesus is described, where He is taken up into heaven in the presence of His disciples. This event not only signifies the conclusion of His earthly ministry but also paves the way for the empowerment of the apostles through the promised Holy Spirit. The Ascension serves as a critical juncture, affirming the divinity of Jesus and reinforcing the belief in His eventual return.
These events, although recorded outside the four gospels, enrich our understanding of the early Christian community’s beliefs and practices. They illustrate how the teachings and experiences associated with Jesus were preserved and interpreted in the formative years of the church. By examining these events in context, one can appreciate the multi-faceted dimensions of Jesus’s ministry and the foundational principles that guided the early believers. Such insights not only enhance our comprehension of the sacred texts but also illuminate the historical reliability of the events surrounding Jesus’s life.
The Challenges of Historical Interpretation
Interpreting the Canonical Gospels poses significant challenges for historians, primarily due to the interplay of differing theological agendas, cultural contexts, and the inherent limitations of the historical method when applied to ancient texts. Each Gospel was written with distinct purposes, and the authors often had specific theological motivations that influenced the narratives they presented. As a result, understanding these motivations is crucial to navigating the diverging accounts found within the Gospels.
Cultural context plays a critical role in shaping both the message and the interpretation of the Gospel texts. The Gospels were produced in first-century Palestine, a region deeply influenced by Jewish traditions and Roman sociopolitical structures. This historical backdrop necessitates that modern readers and historians consider the cultural lens through which the authors composed their works. Failure to account for these contextual factors can lead to misinterpretations of events and teachings as understood in their original milieu.
The limitations of historical methodology pose additional hurdles. Historians rely on a variety of sources and critical techniques to establish the reliability of ancient documents, yet the availability of external evidence remains scarce. The Gospel accounts, being theological narratives rather than strict historical records, complicate the task of discerning factual events from theological themes. Historians must navigate their analytical methods while recognizing the gaps and ambiguities in the historical record, which often leads to debates about authenticity and reliability.
The challenges of historical interpretation of the Gospels are multifaceted, requiring a careful balance of theological insight and critical historical analysis. By acknowledging differing agendas, considering cultural contexts, and recognizing methodological limitations, historians can strive for a more nuanced understanding of these foundational texts.
The Enduring Impact of the Canonical Gospels
The canonical gospels—Matthew, Mark, Luke, and John—serve as foundational texts within Christianity, shaping not only religious doctrine but also the cultural and ethical frameworks of countless societies. These writings, composed in the first century CE, are pivotal for understanding the life and teachings of Jesus Christ. Their impact can be seen in Christian worship, theology, and moral guidance, cementing their relevance across centuries.
Historically, the gospels have provided insights into the socio-political dynamics of the time in which they were written. Each gospel offers a unique perspective, reflecting the diverse audiences and theological emphases of the early Christian communities. For instance, while Mark presents a more human depiction of Jesus, John emphasizes His divine nature. This diversity not only enriches the Christian narrative but also invites ongoing scholarly engagement, as historians and theologians analyze their historical contexts and implications.
The canonical gospels continue to play a significant role in contemporary discussions about faith and morality. Their teachings on love, compassion, and forgiveness resonate with modern audiences, addressing timeless human experiences. In an era marked by both a quest for spiritual understanding and critical exploration of religious texts, the gospels provide a framework for dialogue and reflection. The ongoing scholarly work surrounding these texts—ranging from textual criticism to theological interpretation—ensures that the canonical gospels remain dynamic and relevant today.
The enduring impact of the canonical gospels is evident not only in their foundational role within Christianity but also in their rich historical contributions and continued scholarly engagement. Understanding these texts is crucial for those seeking insight into the complexities of Christian faith and its teachings, as well as the broader implications for society.
Authorship, date, and reliability Canonical gospels
The canonical gospels, which form the cornerstone of the New Testament, comprise four distinct narratives, each traditionally associated with a particular author. These authors are generally regarded by modern scholarship as pseudonymous, meaning their names were likely attributed to them by later tradition rather than being the literal writers. Nevertheless, longstanding ecclesiastical tradition links each gospel to one of the four evangelists, who were either followers of Jesus or closely connected to his earliest disciples. Specifically, the Gospel of Mark is traditionally ascribed to John Mark, a companion of the apostle Peter; the Gospel of Matthew to Matthew, one of Jesus’s own disciples; the Gospel of Luke to Luke, a companion of Paul referenced in several of his epistles; and the Gospel of John to John, identified as the “beloved disciple” among Jesus’s inner circle.
Chronologically, the composition of the gospels is generally understood through the lens of Marcan priority, which posits that Mark was the first to be written, likely between AD 60 and 75. Matthew and Luke followed, with estimated dates ranging from AD 65–85 for Matthew and AD 65–95 for Luke, while John is typically placed later, around AD 75–100. A majority of scholars hold that the authors of Matthew and Luke drew upon Mark’s gospel as a foundational source. However, because Matthew and Luke also share material absent from Mark, many scholars posit the existence of a hypothetical “Q” document—an earlier collection of sayings of Jesus—that both drew upon in addition to Mark. Alternative theories, such as the Farrer hypothesis or Matthean Posteriority, suggest a more direct literary relationship between Matthew and Luke themselves, challenging the need for a separate Q source. Regardless of these debates, both Matthew and Luke are thought to preserve their sources with a level of fidelity that, while not identical to modern historiographical standards, is consistent with the practices of other ancient historians, such as Diodorus Siculus, and typical of biographical works of the period.
A crucial element in understanding the gospels lies in their literary genre, which shapes both how they were composed and how they are interpreted. Genre functions as a set of conventions guiding a writer’s choices, from structure and style to the treatment of events and characters. For centuries, scholars have debated whether the gospels were intended as myths, novels, theological treatises, or historical accounts. In recent decades, the prevailing scholarly consensus has classified them as a form of ancient biography, a genre concerned with the life and character of a central figure, blending historical recollection with interpretive and moralizing elements. While this classification is not without detractors, it remains the dominant framework for understanding the gospels today, emphasizing their dual nature as both historical narrative and theological reflection.
The question of the gospels’ historical accuracy has likewise elicited a spectrum of scholarly perspectives. Some hold them as inerrant records of Jesus’s life, presenting a faithful and complete portrait of his actions and teachings. Others approach them with critical scrutiny, acknowledging historical kernels while noting inconsistencies or theological embellishments that reflect the perspectives and intentions of their authors. A third perspective is more skeptical, suggesting that while the gospels provide a general outline of Jesus’s life—his ministry, death, and some key sayings—they offer limited verifiable historical information and must be interpreted cautiously within their literary and cultural contexts. These varying viewpoints underscore the complexity of engaging with the gospels as both historical documents and foundational texts of faith.
The Canonical Gospels, consisting of Mark, Matthew, Luke, and John, form a crucial part of the New Testament and serve as foundational texts for Christian teaching and belief. Each gospel offers a unique perspective on the life, teachings, death, and resurrection of Jesus Christ, portraying both the historical context and theological implications of His ministry. Together, these texts contribute significantly to the understanding of early Christianity and its core messages.
The Gospel of Mark is often considered the earliest of the four, characterized by its succinct narrative style and focus on the actions of Jesus. It presents Jesus as a dynamic figure, emphasizing his miracles and powerful deeds while maintaining a steady pace that engages readers. One of the notable features of Mark is the ‘Messianic Secret,’ a motif in which Jesus often instructs those he heals to keep his identity hidden.
Matthew, on the other hand, is distinct for its emphasis on Jesus as the fulfillment of Old Testament prophecies. This gospel features extensive teachings from Jesus, including the Sermon on the Mount, which articulates essential ethical directives for followers. The author seeks to connect Jesus’s life and mission to Israel’s religious heritage, positioning Him as the Messiah anticipated by the Jewish community.
The Gospel of Luke provides a comprehensive narrative that highlights the compassion of Jesus, particularly towards marginalized groups such as the poor and women. Luke’s storytelling is marked by rich parables and a focus on prayer, emphasizing the divine mercy that characterizes Jesus’ ministry. Through this lens, readers gain insight into the inclusivity of Jesus’s message.
Last, the Gospel of John departs from the synoptic narratives, focusing on the deeper theological implications of Jesus’s identity as the Son of God. John presents a more reflective gospel, inviting readers to explore the relationship between Jesus and the Father. Themes of love, light, and eternal life permeate this text, offering a different understanding of Jesus’s mission and purpose.
Comparative structure and content
The gospels of Matthew, Mark, and Luke are collectively referred to as the Synoptic Gospels, a term derived from the Greek words σύν (syn, “together”) and ὄψις (opsis, “view”), reflecting the remarkable similarities in their content, narrative structure, language, and arrangement of material. Their close alignment allows scholars to compare them side by side, revealing patterns and differences in how each recounts the life and ministry of Jesus. In contrast, the Gospel of John stands apart, exhibiting no direct literary connection with the Synoptic texts. While key events such as Jesus’s baptism, crucifixion, and interactions with his disciples appear across Matthew, Mark, and Luke, other episodes—like the transfiguration or his exorcisms—are absent from John, which also diverges in other significant ways, including its account of the cleansing of the Temple.
Each of the Synoptic Gospels highlights distinct facets of Jesus’s identity and mission. In Mark, Jesus is depicted primarily as the Son of God, whose extraordinary deeds reveal the unfolding of God’s Kingdom. This concise gospel emphasizes his tireless dedication as a servant of both God and humanity, recording relatively few of his extended teachings while focusing on his remarkable actions and miracles. Matthew, by contrast, presents Jesus as the fulfillment of divine promises articulated in the Hebrew Scriptures, portraying him as both the long-awaited Messiah and the sovereign of the Church. He is framed as the “Son of David” and a kingly figure whose life embodies God’s redemptive plan. Luke offers yet another perspective, emphasizing Jesus as the compassionate, divine-human savior. In this account, he is especially attentive to the marginalized, the outcasts, and those deemed sinners, illustrating a mission centered on mercy and inclusion. Luke’s gospel preserves some of the most familiar parables in Christian tradition, including the Good Samaritan and the Prodigal Son, underscoring the ethical and pastoral dimensions of Jesus’s ministry.
Together, the Synoptic Gospels provide complementary lenses through which early Christians understood Jesus, each emphasizing particular theological themes and narrative emphases, yet all converging on the core portrait of a transformative figure whose life and deeds revealed God’s presence among humanity.
The opening chapter of the Gospel of John presents a profound theological vision, identifying Jesus as the incarnate Logos, or the divine Word, who existed eternally in the presence of God. This Logos is not a mere messenger or intermediary; rather, it is the very expression of God’s essence. Within this framework, Jesus is portrayed as actively involved in the creation of the world, the source of moral and spiritual life, and the ultimate revelation of divine truth to humanity. Unlike earlier prophets, who communicated God’s messages, Jesus in John transcends the prophetic role entirely: he does not merely convey God’s Word—he embodies it. Throughout this gospel, his divine identity is revealed through vivid metaphors and symbolic imagery: he is the Bread of Life, sustaining human spiritual hunger; the Light of the World, illuminating truth and guiding moral vision; the True Vine, offering connection and life to those who abide in him; and more, each title underscoring aspects of his divine mission and salvific presence.
Yet, despite this lofty theological vision, the authors of the New Testament were not primarily concerned with establishing a precise, chronological biography of Jesus. Their aim was not to construct a meticulous timeline that aligns perfectly with secular history. As John himself notes in his closing remarks (John 21:25), the gospels do not purport to provide a complete account of every detail of Jesus’s life. Instead, they were composed as theological narratives, intended to convey the meaning and significance of Jesus’s life and teachings within the context of early Christian belief. Historical sequence and exact dating are treated as secondary matters, subordinate to the gospels’ purpose of revealing who Jesus was and what he accomplished for humanity.
A striking feature of all four gospels is their concentrated attention to the final week of Jesus’s life in Jerusalem, often referred to as the Passion. Roughly one-third of the gospel texts are devoted to these climactic events, encompassing his entry into the city, the Last Supper, the trials, crucifixion, and resurrection. While the gospels do not provide the level of detail required by modern historical scholarship to reconstruct exact dates or chronological precision, they collectively offer a coherent portrait of Jesus’s life, ministry, and ultimate mission. Through these accounts, readers are invited to apprehend the theological and spiritual significance of Jesus’s existence, even if the narrative chronology remains flexible and shaped by the authors’ interpretive purposes.
Genealogy and nativity of Jesus Christ
Jesus was a Jew by birth, born to Mary, who was married to Joseph. The Gospels of Matthew and Luke each present a genealogy of Jesus, yet the two accounts differ significantly in structure and detail. In Matthew’s narrative, Jesus’s lineage is traced back to Abraham, moving through the royal line of David, thereby emphasizing his connection to Israel’s patriarch and king. Luke, on the other hand, extends the genealogy much further, tracing Jesus’s ancestry beyond Abraham all the way to Adam and ultimately to God, presenting a universal perspective on his origins.
While the genealogical records in both gospels align from Abraham to David, they diverge considerably after David. Matthew lists 27 generations from David to Joseph, whereas Luke records 42 generations for the same span, with very few shared names appearing between the two accounts. These substantial differences have led to numerous scholarly proposals seeking to reconcile or explain the variations between the genealogies, reflecting ongoing discussion about their historical, theological, and literary purposes.
Both Matthew and Luke narrate the birth of Jesus, emphasizing that he was born to a virgin named Mary in Bethlehem, fulfilling ancient prophecy. Luke’s account focuses on the events leading up to Jesus’s birth and highlights Mary’s perspective, whereas Matthew emphasizes events following the birth and centers the narrative on Joseph. In both gospels, Mary is described as being betrothed to Joseph, a descendant of King David, who is not Jesus’s biological father. Both accounts affirm the doctrine of the virgin birth, portraying Jesus as miraculously conceived by the Holy Spirit while Mary was still a virgin.
At the same time, evidence—particularly in Luke’s Acts of the Apostles—suggests that Jesus was sometimes understood in antiquity to have a form of dual paternity, being biologically linked to David while also legally recognized as Joseph’s son. Through Joseph’s adoption of Jesus, the necessary Davidic lineage was conferred upon him. Additionally, some scholars propose that Mary may have contributed Levite ancestry, drawing on her familial connection to Elizabeth, further enriching the understanding of Jesus’s heritage.
In Matthew’s account, Joseph, betrothed to Mary, is initially disturbed and troubled upon discovering that she is pregnant. His distress is alleviated when, in the first of four dreams described in the narrative, an angel reassures him, instructing him not to fear taking Mary as his wife, for the child she carries is conceived by the Holy Spirit and is destined for a divine purpose. Later, the Gospel recounts the journey of wise men—or Magi—from the East, who arrive bearing gifts of gold, frankincense, and myrrh, recognizing the newborn as the prophesied King of the Jews. They locate Jesus not in a stable but a house in Bethlehem. This miraculous birth, however, incites the wrath of King Herod the Great, who, fearing a challenge to his throne, commands the massacre of all male infants in Bethlehem and the surrounding region. Once again, divine intervention occurs: an angel appears to Joseph in a second dream, warning him of the danger, prompting the Holy Family to flee into Egypt. They remain in exile until it is safe to return, ultimately settling in Nazareth, thus fulfilling the prophetic vision of the Messiah’s journey.
Luke’s Gospel presents a complementary, though distinct, narrative that emphasizes Mary’s perspective and the unfolding divine plan. In Luke 1:31–38, the angel Gabriel announces to Mary that she will miraculously conceive and bear a child, to be named Jesus, through the power of the Holy Spirit. As the time of her delivery approaches, Mary and Joseph travel from their home in Nazareth to Joseph’s ancestral town of Bethlehem to comply with a census mandated by Caesar Augustus. Finding no room at the local inn, Mary gives birth to Jesus and places him in a manger. This humble scene is immediately transformed by divine proclamation, as an angel appears to shepherds in the nearby fields, announcing the birth of the Savior. The shepherds, moved by the message, hasten to Bethlehem to witness the child and thereafter spread the news of this extraordinary event.
Luke further recounts the formal rituals surrounding the newborn’s early life. On the eighth day, following Jewish custom, Joseph and Mary have Jesus circumcised and formally give him the name instructed by Gabriel. Later, they present him at the Temple, fulfilling religious obligations, before returning together with their child to Nazareth. Across both gospels, these narratives weave together divine intervention, prophetic fulfillment, and the human dimensions of family and obedience, portraying the birth of Jesus as both a miraculous event and a story grounded in the realities of first-century Judea, bridging the celestial with the terrestrial in the life of the Messiah.
Early life, family, and profession
The Gospels of Luke and Matthew identify Nazareth, a modest town in the region of Galilee in what is now modern-day Israel, as the childhood home of Jesus, where he was raised within the care of his family. While Joseph, his earthly father, is present in descriptions of Jesus’s early years, he disappears from the narrative as Jesus matures, with no further mentions in the canonical texts. Jesus’s immediate family, however, is documented in both the Gospels and other historical sources: his mother, Mary, his four brothers—James, Joses (also called Joseph), Judas, and Simon—and his sisters, whose names remain unspecified. The Gospel of James adds further detail, naming Mary’s parents as Joachim and Anne, and Luke highlights a familial connection between Mary and Elizabeth, the mother of John the Baptist. Some non-biblical contemporary sources even suggest that Jesus and John were second cousins, based on traditions that Elizabeth was the daughter of Sobe, Anne’s sister, which situates the two families in close kinship.
The early ministry of Jesus, as depicted in the Gospels, also highlights the tensions that arose between him and his own community. According to Mark, his neighbors and family initially question his sanity and intentions, prompting Mary and his brothers to come seeking him. Jesus responds by redefining the meaning of kinship, asserting that those who follow God’s will are his true family, thereby emphasizing spiritual bonds over biological ties. In the Gospel of John, Mary appears in two significant moments that underscore both her role and Jesus’s emerging public ministry. At the wedding at Cana, she prompts him to perform his first miracle, transforming water into wine, a symbolic act marking the inauguration of his ministry. Later, she is present at the crucifixion, where Jesus, concerned for her welfare even in his final moments, entrusts her care to the disciple he loved, highlighting both filial devotion and theological significance.
Through these accounts, the Gospels portray Jesus’s family life as simultaneously ordinary and extraordinary: rooted in the familiar bonds of kinship and village life, yet intertwined with divine purpose and spiritual significance. His relationships with family members illuminate the human dimensions of his life while setting the stage for the radical redefinition of community and belonging that characterizes his ministry.
In Mark 6:3, Jesus is described using the Greek term τέκτων (tektōn), a word traditionally rendered as “carpenter.” However, the meaning of τέκτων is broader than a single craft; it can refer to a maker or artisan working with various materials, including wood, stone, or other building components, and can also imply the role of a builder. Considering this wider semantic range and the historical context of ordinary artisans in Nazareth, scholar and minister Matthew K. Robinson suggests that a more precise translation would be “builder-craftsman,” capturing both the creative and practical aspects of Jesus’s work. The Gospels also indicate that Jesus was literate and capable of reading, interpreting, and debating scripture. Nevertheless, this proficiency does not necessarily imply that he underwent formal scribal training, but rather demonstrates his familiarity with and insight into religious texts.
Luke’s Gospel recounts two notable journeys of Jesus to Jerusalem during his childhood. The first occurs when he is presented at the Temple as an infant, in accordance with Jewish law, where a devout man named Simeon offers a prophetic blessing concerning Jesus and Mary. The second event takes place when Jesus is twelve years old. During a pilgrimage to Jerusalem for Passover, he becomes separated from his parents. After a search, Mary and Joseph find him in the Temple, sitting among the teachers, listening attentively, and posing questions. Those present are astonished at his understanding and the depth of his answers. When Mary expresses concern for his disappearance, Jesus responds with a remark that emphasizes his unique sense of purpose and divine connection, stating that he must be “in his Father’s house,” signaling both his awareness of his spiritual identity and his early engagement with religious life.